SIÊU PHẨM MT ĐẶNG CÔNG BỈNH – NGANG 61M – 3.341M² – CHỈ 16TR/M²

Giá: 53 tỷ - Diện tích: 3341m²
Địa chỉ: Đường Đặng Công Bỉnh, Xuân Thới Sơn, Hóc Môn

Thông tin mô tả Đất cần bán

SIÊU PHẨM MT ĐẶNG CÔNG BỈNH – NGANG 61M – 3.341M² – CHỈ 16TR/M²
Đặng Công Bỉnh – Hóc Môn


Trục đường lớn – lưu thông thuận tiện – tiềm năng tăng giá mạnh

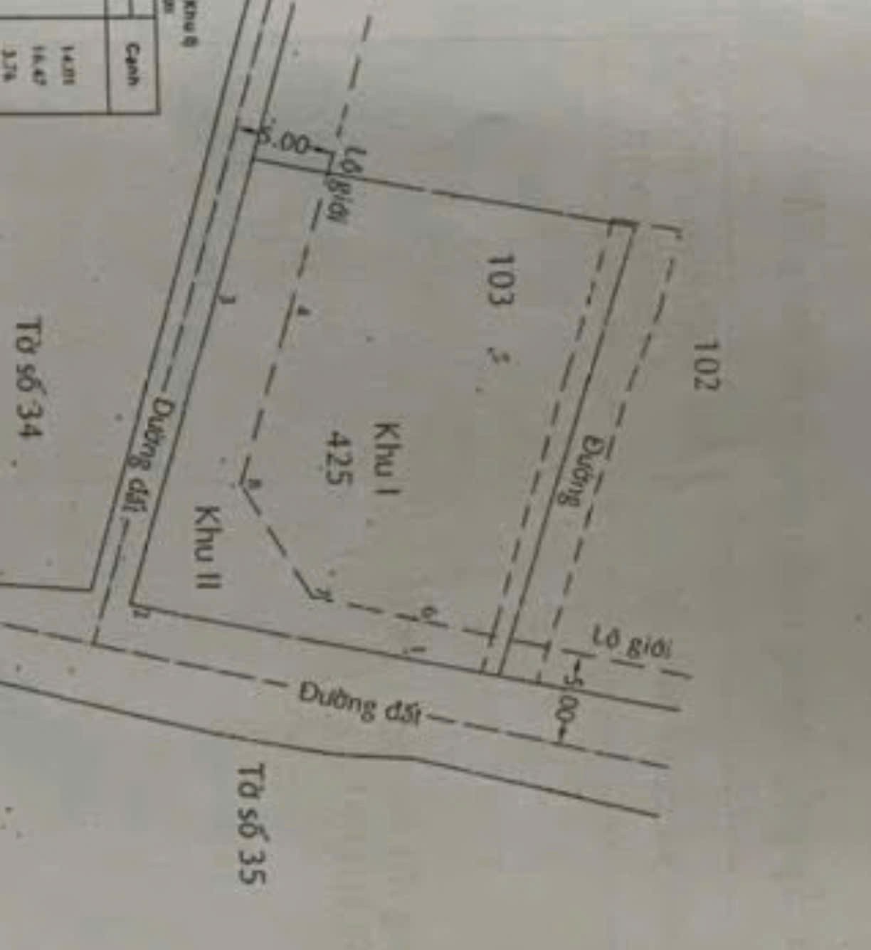
Diện tích: 61m x 74m (CN 3.341,6m²)


Thổ cư: 300m² – còn lại đất nông nghiệp


Mặt tiền siêu rộng 61m – cực hiếm, dễ khai thác kinh doanh

Phù hợp:



Kho xưởng – bãi xe – công ty


Phân lô đầu tư – giữ đất lâu dài


Nhà vườn nghỉ dưỡng quy mô lớn


Pháp lý rõ ràng – giao dịch nhanh


Giá bán : 16 TRIỆU/m² - GIÁ TỐT CHO QUỸ ĐẤT LỚN

Liên hệ ngay – hàng hiếm mặt tiền lớn, chốt nhanh kẻo lỡ!

Liên hệ người đăng

Phạm Mỹ

0922805456

Đặc điểm bất động sản

  • Loại Bán Đất
  • Hình thức Cần bán
  • Ngày đăng 15/04/2026
  • Quận/Huyện Hóc Môn - Hồ Chí Minh
  • Phường/Xã Xuân Thới Sơn
  • Đường Đặng Công Bỉnh

ODT.VN là website chuyên cập nhật thông tin bất động sản, thông tin mua bán nhà đất, cho thuê nhà đất, là cầu nối giữa người mua – người bán, người cho thuê – người thuê thông qua nền tảng đăng tin trực tuyến hiệu quả. Chúng tôi không bán hàng trực tiếp, nếu có nhu cầu vui lòng liên hệ với người đăng tin Bán Đất. Chúng tôi hoàn toàn không chịu trách nhiệm về bất cứ thông tin nào liên quan đến nội dung này