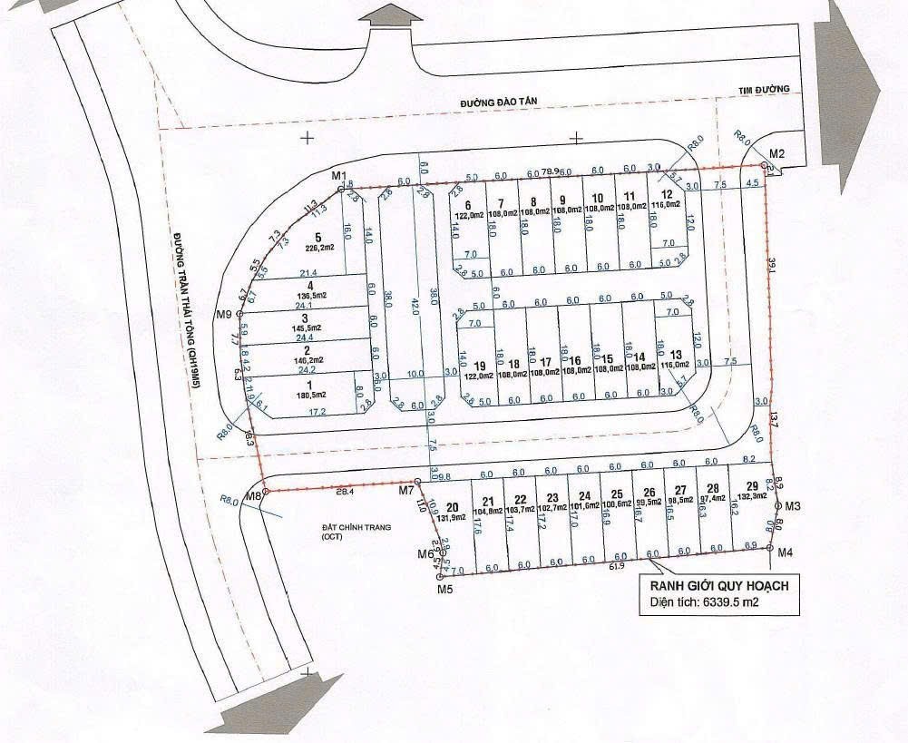
Đào Tấn Diamond City (hay còn gọi là Khu dân cư đường Đào Tấn - Trần Thái Tông, thành phố Huế) do Công ty Cổ phần Đầu tư Newland làm chủ đầu tư, được quy hoạch trên tổng diện tích hơn 6.339 m2 với mật độ xây dựng khoảng 67,5%.
Với quy mô giới hạn chỉ 29 lô đất quy hoạch đất ở liền kế (trong đó 19 lô đất ở hỗn hợp, 10 lô đất ở liền kế), dự án không chỉ là khu dân cư mà còn kết hợp hoàn hảo giữa không gian sống tiện nghi và tiềm năng kinh doanh sôi động, trở thành biểu tượng của sự thịnh vượng và đẳng cấp giữa lòng Cố đô.
Dự án được định vị là sản phẩm "kim cương" nhờ sự kết hợp hoàn hảo giữa không gian sống sang trọng và khả năng kinh doanh sinh lời vượt trội. Với quỹ đất sạch được đấu giá công khai và pháp lý minh bạch, đây hiện là tâm điểm thu hút sự quan tâm của giới đầu tư bất động sản tại miền Trung.


Phối cảnh dự án Đào Tấn Diamond City
- Tên dự án: Đào Tấn Diamond City (Khu dân cư đường Đào Tấn)
- Vị trí: Đường Đào Tấn – Trần Thái Tông, Phường Trường An, Thành phố Huế, Thừa Thiên Huế
- Chủ đầu tư: Công ty Cổ phần Đầu tư Newland
- Tổng diện tích: 6.339,5 m2
- Quy mô dân số: Khoảng 120 người
- Loại hình sản phẩm: Nhà phố thương mại (Shophouse)
Vị trí - Hạ tầng
Dự án Đào Tấn Diamond City TP Huế nằm ngay mặt tiền đường Đào Tấn, thuộc khu vực trung tâm của TP. Huế, thuận lợi kết nối với nhiều trục đường chính như Trần Thái Tông, Nguyễn Huệ và các tiện ích công cộng. Đây là khu vực thuộc vùng lõi đô thị loại I theo quy hoạch đến 2035.
Từ đây, cư dân dễ dàng di chuyển tới các điểm quan trọng: UBND TP. Huế 1,2 km, Bệnh viện Trung ương Huế 1,5 km, Trường Quốc học 1,3 km, Vincom 1,8 km, ga Huế, sân bay Phú Bài chỉ 15km và các khu tham quan lịch sử như Đại Nội trong bán kính chỉ vài kilomet, tạo thế “vừa hưởng dân cư đô thị vừa dễ kinh doanh” cho dòng sản phẩm shophouse. Vị trí mặt tiền giúp các căn mở cửa kinh doanh thuận lợi, khả năng khai thác thương mại cao, yếu tố quan trọng với nhà đầu tư nhắm vào dòng shophouse.

Vị trí Đào Tấn Diamond City
Tiện ích
Đào Tấn Diamond City được quy hoạch có hệ thống hạ tầng đồng bộ: đường bao quanh dự án 26m, đường nội khu trải nhựa rộng 17,5m, hệ thống cấp thoát nước, điện, vỉa hè lát đá, khuôn viên cây xanh, công viên nội khu, khu vui chơi trẻ em, khu sinh hoạt cộng đồng, và các khoảng không gian công cộng nhỏ (vườn hoa, sân chơi).
Ngoài ra, dự án liền kề các tiện ích ngoại khu hiện hữu trong bán kính 1 - 2km, đáp ứng mọi nhu cầu sinh hoạt hàng ngày. Những yếu tố này nâng tầm chất lượng sống, phù hợp cho cả cư dân và nhà đầu tư khai thác cho thuê hiệu quả.
- Giáo dục: Gần các trường học chất lượng cao như THCS Nguyễn Tri Phương, Trường Tiểu học Trường An.
- Y tế: Tiếp cận nhanh chóng với Bệnh viện Trung ương Huế và các phòng khám đa khoa uy tín.
- Mua sắm & Giải trí: Gần chợ Trường An, trung tâm hành chính, các quán cafe và nhà hàng đặc sản nổi tiếng của Huế.
Mặt bằng - Thiết kế
Dự án Đào Tấn Diamond City Huế có tổng diện tích quy hoạch khoảng 6.339,5 m2, trong đó bao gồm quỹ đất xây dựng nhà ở hỗn hợp và liền kề (3.463,9 m2), đường giao thông nội bộ và mảng xanh công cộng, với lối kiến trúc hiện đại, mang đậm hơi thở đô thị nhưng vẫn hài hòa với nét văn hóa Cố đô.
Dự án gồm 29 lô đất (trong đó có 19 lô đất ở hỗn hợp và 10 lô đất ở liền kề). Đa số các căn có diện tích đa dạng, mặt tiền rộng 6m. Nhà phố xây thô hoàn thiện mặt ngoài, cấu trúc 4 tầng và 1 tum, được tối ưu hóa công năng với mặt bằng vuông vức. Tầng 1 và 2 được thiết kế thông thoáng với kính tràn hiện đại để phục vụ kinh doanh hoặc làm văn phòng, trong khi các tầng trên đảm bảo sự riêng tư cho không gian sinh hoạt gia đình.
Diện tích các căn nhà ở liền kề như sau:
- 19 lô đất ở hỗn hợp (Shophouse): Diện tích từ 108,0m2 – 226,2m2
- 10 lô đất ở liền kề: Diện tích từ 97,4m2 – 132,3m2




Mặt bằng dự án Đào Tấn Diamond City


Nhà phố liền kề Đào Tấn Diamond City








Shophouse Đào Tấn Diamond City
Giá bán
Giá bán shophouse và nhà phố tại Đào Tấn Diamond City dao động từ 5-6 tỷ đồng/căn cho các sản phẩm mặt tiền trung tâm.
- Nhà phố liền kề: 5,5 tỷ/căn (dự kiến)
- Shophouse dự án: 7 - 12 tỷ/căn (dự kiến)
Chủ đầu tư thường xuyên có các chương trình chiết khấu hấp dẫn cho khách hàng thanh toán sớm, cùng hỗ trợ vay vốn từ các ngân hàng đối tác với lãi suất ưu đãi.
Lưu ý: Giá bán có thể thay đổi tùy theo thời điểm thị trường và bảng giá cập nhật từ chủ đầu tư.
Chủ đầu tư
Chủ đầu tư dự án Đào Tấn Diamond City Thành phố Huế là Công ty Cổ phần Đầu tư NewLand (NewLand Investment), một đơn vị có uy tín và tiềm lực tài chính vững mạnh trong lĩnh vực bất động sản và phát triển dự án đô thị tại Việt Nam. Newland đã vượt qua nhiều vòng đấu giá khắt khe để giành quyền phát triển dự án này, khẳng định cam kết về chất lượng công trình cũng như tính pháp lý minh bạch.
Tiến độ
Tính đến thời điểm cuối năm 2025, dự án Khu dân cư đường Đào Tấn - Thành phố Huế đã hoàn thiện 100% các hạng mục đường giao thông nội khu, hệ thống chiếu sáng và thoát nước. Các dãy shophouse đang trong quá trình hoàn thiện mặt ngoài. Dự án đã có giấy phép xây dựng và hoàn tất các nghĩa vụ tài chính với nhà nước, đảm bảo tiến độ ra sổ cho cư dân.

Lễ động thổ dự án Đào Tấn Diamond City

Khu đất dự án Đào Tấn Diamond City
Đánh giá
Đào Tấn Diamond City sở hữu các giá trị cốt lõi, được ODT đánh giá là một dự án nhà phố hiếm hoi còn sót lại tại vùng lõi di sản Cố đô. Với số lượng giới hạn chỉ 29 sản phẩm, dự án mang trong mình sự khan hiếm, đảm bảo tính thanh khoản cao và tiềm năng tăng giá bền vững cho những nhà đầu tư nhạy bén. Điểm đắt giá nhất tạo nên sự khác biệt của dự án chính là vị thế "đất lành" trên cốt nền cao ráo, giúp cư dân không lo ngập lụt, một ưu thế vàng mà hiếm có bất động sản trung tâm nào tại Huế có được. Sự kết hợp giữa công năng "4 trong 1" (an cư sang trọng, kinh doanh đắc lợi, cho thuê dòng tiền và tích lũy tài sản) cùng sự minh bạch tuyệt đối về pháp lý đã biến nơi đây thành một lựa chọn đầu tư an toàn, thông thái, khẳng định đẳng cấp và tầm nhìn dài hạn cho những chủ nhân xứng tầm.